• Japanese prime minister says he will express remorse for World War II

    Japanese prime minister says he will express remorse for World War II

    Jan 05, 2015 10:54 PM EDT

    ... as to whether he will maintain the same tone set by Murayama. The debate over the extent of Japanese war crimes has soured relations between Japan and neighboring countries. China’s foreign ministry criticized Abe last August for honoring war criminals at a Buddhist Temple. Abe also sided with Japanese ...

  • Many Japanese voters are confused about Sunday's snap election

    Many Japanese voters are confused about Sunday's snap election

    Dec 12, 2014 11:58 PM EDT

    On Sunday, Japan is slated to head to the polls for a parliamentary election that has many in the country scratching their heads. “I don’t understand at all why he has to call an election,” one voter told the Financial Times. Sheila Smith, a Senior Fellow on Japan Studies ...

  • U.S., Japan pledge billions in fight against climate change

    U.S., Japan pledge billions in fight against climate change

    Nov 16, 2014 05:10 PM EDT

    ... condition that other countries make similar funding commitments. The U.S. would only provide the full $3 billion if a $10 billion target is met. Japan's Prime Minister Shinzo Abe also pledged $1.5 billion that would go toward the Green Climate Fund. The announcement came on Sunday after ...

  • Typhoon Vongfong batters Japan in strongest storm of year for country

    Typhoon Vongfong batters Japan in strongest storm of year for country

    Oct 13, 2014 04:32 PM EDT

    Typhoon Vongfong hit southern Japanese islands with heavy rain and damaging winds Monday as the strongest storm to hit Japan this year continued to make landfall. The storm came ashore in Okinawa on Sunday, then struck the islands of Kyushu and Shikoku early Monday morning, local time. The storm blasted ...

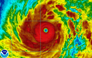
  • Most powerful storm of the year eyes Japan

    Most powerful storm of the year eyes Japan

    Oct 08, 2014 03:55 PM EDT

    The strongest tropical cyclone of 2014 is spinning toward Japan, maintaining winds around 165 miles per hour. Super Typhoon Vongfong is predicted to still be a Category 5 storm by the end of Wednesday, but is not expected to make landfall in Japan until early next week. Forecasters at the ...

  • What made Japan’s deadly volcanic eruption so unpredictable?

    What made Japan’s deadly volcanic eruption so unpredictable?

    Oct 01, 2014 01:03 AM EDT

    ... JUDY WOODRUFF: In Japan, rescue efforts at the Mount Ontake volcano have been hampered by toxic gases and fears of another eruption. On Saturday, more than 250 people were out hiking and enjoying a nice fall day, when a surprise eruption littered the mountain with falling Boulders, thick smoke ...

  • Mr. Abe, Japan's economy needs more

    Mr. Abe, Japan's economy needs more

    Aug 21, 2014 09:10 PM EDT

    ... because of the country’s second broad reform need: a revamp of its general economic model. Japan’s existing economic approach relies on what the Japanese call the “iron triangle” – a close cooperation between politicians, bureaucrats and big business. In the distant past this arrangement effectively marshaled Japan’s economic ...

  • Miles O’Brien returns to the site of Japan’s nuclear disaster three years later

    Miles O’Brien returns to the site of Japan’s nuclear disaster three years later

    Aug 06, 2014 11:49 PM EDT

    In March 2011, a magnitude 9.0 Tohoku earthquake shook Japan, triggering a catastrophic tsunami and nuclear disaster. Since then, PBS NewsHour science correspondent Miles O’Brien has provided some of the most in-depth reporting on the subject to-date. He has traveled to Fukushima three times and six ...

  • Caroline Kennedy on why this is a critical time for U.S. and Japan
  • No image

    North Korea says some 30 Japanese abductees still alive

    Jul 09, 2014 11:10 PM EDT

    North Korea has given Japan a list of some 30 missing Japanese victims still living in the country, Nikkei Asian Review reported on Wednesday. The list includes victims of North Korean state-sponsored kidnappings in the 1970s and 80s, including the 12 victims previously recognized by Japan who have yet ...