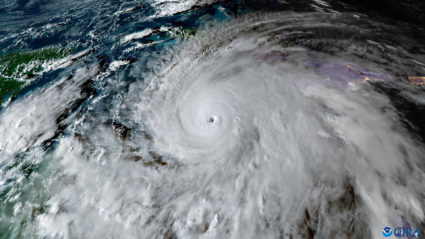
By — Geoff Bennett Geoff Bennett By — William Brangham William Brangham By — Winston Wilde Winston Wilde By — Zeba Warsi Zeba Warsi Leave your feedback Share Copy URL https://www.pbs.org/newshour/show/hurricane-melissa-slams-into-jamaica-as-a-category-5-with-185-mph-winds Email Facebook Twitter LinkedIn Pinterest Tumblr Share on Facebook Share on Twitter Transcript Audio Jamaica is suffering extensive damage from the devastating force of Hurricane Melissa. It's just the second Atlantic storm ever to make landfall with winds up to 185 mph. William Brangham reports and Geoff Bennett discusses the impact and rescue efforts with Antony Anderson, Jamaica's ambassador to the United States. Read the Full Transcript Notice: Transcripts are machine and human generated and lightly edited for accuracy. They may contain errors. Amna Nawaz: Welcome to the "News Hour."Jamaica is suffering extensive damage tonight from the devastating force of Hurricane Melissa, easily the most powerful storm on Earth this year and just the second Atlantic storm ever to make landfall with winds up to 185 miles an hour. Geoff Bennett: Melissa has already claimed seven lives across the Caribbean, including three in Jamaica. And the storm is slow-moving, meaning its punishing impact will only last longer.William Brangham starts our coverage. William Brangham: It's a storm the likes of which Jamaica has never seen in its recorded history. Melissa made landfall this afternoon across Western Jamaica as a monster Category 5 hurricane with winds of 185 miles per hour.Evan Thompson, Principal Director, Meteorological Service of Jamaica: That's what the system is packing as a Category 5 hurricane, and much of that will be within the eye wall. In that eye wall, which is that area that surrounds the eye, you will have the most intense wind speeds, but also the most torrential downpours of rainfall. William Brangham: Forecasters and local officials warned that parts of the island could see up to 20 to 30 inches of rain, and storm surge could reach as high as 13 feet. That's enough water to wash away homes and cause landslides across the island nation. Desmond Mckenzie, Jamaica Disaster Risk Management Council: Jamaica, this is not the time to be brave. William Brangham: Melissa's whipping winds have toppled trees and downed power lines. Almost a quarter million customers were without power on the island before landfall, a number that will certainly rise in the coming hours.Daryl Vaz, Jamaican Minister of Science, Energy, Telecommunications and Transport: The low-lying areas are going to be badly affected. Seek to go to higher ground, and protect yourself and be smart. William Brangham: Melissa is one of the strongest Atlantic hurricanes in history, its sheer size visible from space. From inside the storm, the eerie calm of its vast eye belies the devastating impacts caused by its outer bands.Jamaica's prime minister warned that nothing on the island could escape this storm.Andrew Holness, Prime Minister of Jamaica: There is no infrastructure in the region that can withstand a Category 5. A Category 5 hurricane will definitely damage roofs. It will definitely compromise infrastructure, even concrete infrastructure. William Brangham: In the coming days, Melissa will cut straight across the Caribbean. Cuba will be next, followed by the Southern Bahamas. Melissa is expected to remain a hurricane through the end of the week, when it barrels past Bermuda.Evacuations have begun for hundreds of thousands of people in Cuba tonight, and the Jamaican government has already ordered evacuations of flood-prone communities. But officials reported that less than half of the island's 800 shelters were occupied earlier today, as many families and visitors opt to shelter in place in their homes and hotels. Andrew Holness: No one can say that the government was not forward-leaning in giving the information to persons who are in areas of risk. You have been warned. William Brangham: The U.N. and dozens of other relief agencies and nonprofits have prepositioned supplies on the ground, ready to assist. But, for now, millions of people across Jamaica tonight must ride out this historic and deadly storm.For the "PBS News Hour," I'm William Brangham. Geoff Bennett: And for the latest about the impact and the rescue efforts, we turn now to retired Major General Antony Anderson, Jamaica's ambassador to the U.S.Mr. Ambassador, thank you for being with us.And, to start, can you give us a clear picture of how Jamaica is faring right now? What is your government's current assessment of the damage and the overall situation on the ground?Maj. Gen. Antony Anderson (Ret.), Jamaican Ambassador to the United States: At this point, the eye of the hurricane is still over Jamaica, especially in the western part of the island.I think most people are hunkered down, except a few people who are out doing some rescues. But apart from that, everybody else is hunkered down at the moment. So, when it's past, when the back end of the area near to the eye has passed, then we will get into that assessment mode. Geoff Bennett: And drawing on your military experience, I understand you are leading a command center from here in Washington. How are you directing and coordinating the relief and rescue efforts? Maj. Gen. Antony Anderson (Ret.): Right.So we are in contact with the National Emergency Operations Center in Kingston, and that is the multiagency center that guides all responses to emergencies on island. We have been tasked here at the embassy in Washington, D.C., to coordinate the external support to Jamaica over this period.We weren't sure how badly our communications would be disrupted. Fortunately, we are still in communications with the center, because Kingston, the capital, hasn't been as hit as hard as the western end of the island. Geoff Bennett: And from what we know, hurricanes often hit the most vulnerable populations the hardest. To your point about Kingston being spared right now, what is the impact on Jamaica's most at-risk populations, people in the rural areas and the outlying parts of the island? Maj. Gen. Antony Anderson (Ret.): The part of Jamaica that has seen the eye pass through and extending outwards about 40 miles, 30 miles from that, there's significant damage in the path of this hurricane.It is sort of unprecedented in its scale and ferocity, and it's actually -- it's been moving pretty slowly across the island. It sped up, but it slowed back down. And so, in its path, you're talking about 180-mile-per-hour winds, and it's removing roofs, damaging buildings. If it's not concrete, it's likely to be significantly damaged. Geoff Bennett: What kind of assistance is Jamaica seeking or coordinating from the U.S. right now? Maj. Gen. Antony Anderson (Ret.): OK, so we're coordinating assistance from the government -- at the governmental level. The state level, we have received offers already, and then, of course, with the multiplicity of nongovernmental organizations, some of them that have a really good track record of responding to emergency around the world.And we have been working with them to get them into Jamaica. And I know they are prepping, a number of entities are prepping now to go in immediately after the blow and when they get the all-clear, and we can get the international airport open. More than likely, that will be the Norman Manley International Airport in Kingston.And we're looking -- at the moment, the projection is Thursday morning to get that open. The other part, of course, is, we have a huge diaspora here and they have been reaching out to us to assist in varied ways. But our coordination job is to make sure that we can get it from here out of the U.S. into Jamaica through the ports, into storage, if necessary, and to the people who need it most in the best way, in the most efficient and smooth way. Geoff Bennett: Understanding that the immediate focus is on the crisis at hand, how is the Jamaican government linking this storm to the broader climate risks the country faces and how might this experience of Hurricane Melissa influence Jamaica's long-term strategy for climate adaptation and resilience? Maj. Gen. Antony Anderson (Ret.): Well, let me just bring it a little closer to this event.Prior to the event, all of our emergency procedures and protocols were activated. Last year, we had Hurricane Beryl, and that hit. About three parishes were affected by it. This -- and it was -- it allowed us to test our processes and adapt and change and put in new processes and strengthen the gaps that we saw.And so we were much better -- we were in a much better position in terms of being prepared for this. And we are likely to get to our -- as you say, our at-risk population, our damaged -- in the damaged areas quicker than before.Now, there will be a lot of blockages in roads and all that, and we will be able to -- we will be clearing those. But we have been in contact with our population. We have been giving information. We have open shelters for persons to occupy, and we have predeployed supplies and clearing teams and so on, so that as soon as possible afterwards, we will be able to start the process of recovery.And we have -- we will always have these events, and we just have to get -- build back better, build back stronger to be more resilient against the effects of wind and rain that these hurricanes bring. As you say, the last time we had one like this, I believe it was 2019, with Dorian, before that 1935.So it's not a common event, this strength hurricane, but it has happened before, but just not like this, not for us in Jamaica. Geoff Bennett: Well, certainly wish you and all the folks in Jamaica the best.Retired Major General Antony Anderson, Jamaica's ambassador to the U.S., thanks again for your time, sir. Maj. Gen. Antony Anderson (Ret.): Thank you. You're very welcome. Listen to this Segment Watch Watch the Full Episode PBS NewsHour from Oct 28, 2025 By — Geoff Bennett Geoff Bennett Geoff Bennett is co-anchor and co-managing editor of PBS News Hour, where he brings incisive reporting and sharp analysis to the political and cultural forces shaping American life. @GeoffRBennett By — William Brangham William Brangham William Brangham is an award-winning correspondent, producer, and substitute anchor for the PBS News Hour. He also serves as the host of Horizons from PBS News. @WmBrangham By — Winston Wilde Winston Wilde Winston Wilde is a coordinating producer at PBS News Weekend. By — Zeba Warsi Zeba Warsi Zeba Warsi is a foreign affairs producer, based in Washington DC. She's a Columbia Journalism School graduate with an M.A. in Political journalism. She was one of the leading members of the NewsHour team that won the 2024 Peabody award for News for our coverage of the war in Gaza and Israel. @Zebaism